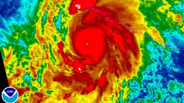
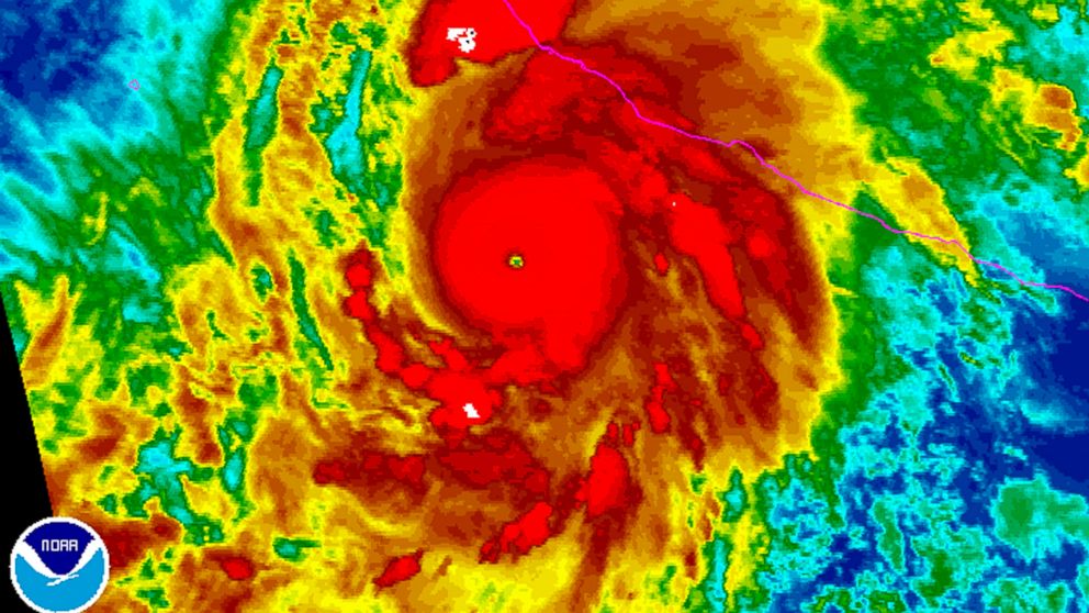
Hurricane Patricia, the strongest hurricane ever recorded in the Western Hemisphere, is within hours of striking Mexico’s central coast with winds up to 200 mph, storm surges and drenching rain. The winds alone are enough to lift a plane into the air and keep it flying.
Tens of thousand of people have been evacuated into shelters up and down the coast…
~ LA Times
(CNN)Hurricane Patricia — the strongest hurricane ever recorded — weakened slightly as it barreled closer to Mexico’s Pacific coast, with sustained winds decreasing to 190 mph and gusts to 235 mph on Friday afternoon, the National Hurricane Center said in its latest advisory.
Residents are bracing for potentially catastrophic 200 mph sustained winds and torrential rains.
The excessive wind speeds, according to the head of the Mexican agency that includes its national weather service, “makes Patricia the most dangerous storm in history.”
By that, CONAGUA director Robert Ramirez de la Parra meant any cyclone ever measured not just in and around Mexico, but anywhere in the world.
Ramirez de la Parra predicted Hurricane Patricia will make landfall somewhere on the coast of Jalisco state — which includes the tourist hot spot of Puerto Vallarta and is also close to Manzanillo and Colima — between 5 and 6 p.m. CT (6 and 7 p.m. ET). But its impact should be felt much sooner, with 100 kph (62 mph) winds lashing the region in the early afternoon.
While its strength could fluctuate, “Patricia is expected to remain an extremely dangerous Category 5 hurricane through landfall,” the U.S. National Weather Center said Friday afternoon.
I found this Beautiful Prayer by Rabbi Fred Guttman, I had to share it with you, if you read it, you technically have Prayed, so thank you!!
God of the heavens: nature and all that You have created are truly awesome. Often, we; take these wonders for granted. Teach us to cherish all of your gifts.
Try as we might, we know that we cannot control the oceans, the mountains, the weather. We also firmly believe that ever since the time of Noah, You do not send floods, make the earth shake, or dispatch weather formations, such as hurricanes, as warnings or punishments.
So we ask, as this Hurricane Patricia is approaching land and approaching our brothers and sisters, that You shelter all who will be in its path. Watch over everyone, their loved ones, friends, and fellow people, many of whom have been evacuated. Guard them as they prepare, perhaps to not leave their homes. Give them strength, courage, and resolve to ride out this storm; answer their prayers and ours that they be blessed with goodness and be spared from harm.
Blessed are You, Source of Life and Nature, whose awesome power and strength fill our world and inspire us to be strong in the face of all of life’s difficulties.
Amen ♥








Leave a comment