Blessed are you, holy Virgin Mary; from you rose the Sun of Justice, Christ our Lord. On this, your Feast Day, we ask that you continue to intercede for all your children, especially the Unborn. Emperatriz de las Américas y las Filipinas, Pray for us! Patroness of the New Evangelization, Pray for us! Patronss of... Continue Reading →
Viva México!
Un poco de historia de Nuestra Bandera!
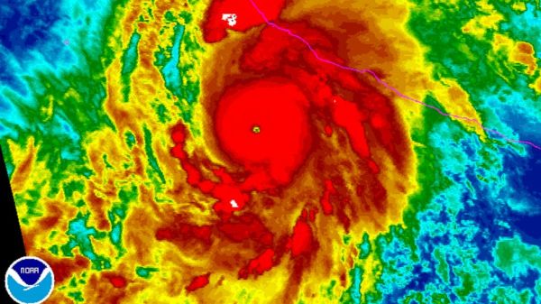
Patricia has touched down…
Psalm 46:1 God is our refuge and our strength. An ever present help in times of trouble.
Please Join Me in Prayer
A bit more details on Hurricane Patricia and a beautiful Prayer...
Please Pray for México
Madre Mia, intercede por todos tus hijos, por favor ♥ God, please give your children Strength, Courage, and I beg of you, Keep them Safe ♥ I ask this through the Love and Sacrifice of your Dearly Beloved Son, Our Lord, Jesus Christ ♥
México 2016!
Pope Francis is scheduled to visit Mexico in 2016! Winds of change?
Viva Cristo Rey!
How easy and how good we have it...






